SPCA New Zealand

A shocking X-ray and an urgent surgery: Sherbet’s story

30 May 2024

Found while giving birth to her litter of kittens, Sherbet was brought into the care of our Renwick Centre. We couldn’t figure out what was making her so ill – until an X-ray revealed the very serious problem.

A shocking X-ray and an urgent surgery: Sherbet’s story

At SPCA, we often receive calls from concerned members of the public who have found stray animals in unexpected places.

That was the case when our team member Rochell visited a home, where the owner had found a stray cat giving birth in her wardrobe.

The situation was dire – very sadly, one of the kittens had already passed away upon our arrival. The others weren’t feeding, and Rochell rushed them to the nearby Springlands Veterinary Centre to receive health checks.

Thankfully, the other kittens were found to be in good health. The poor mum, who we lovingly named Sherbet, was extremely thin and understandably stressed. Rochell brought them all back to our Renwick Centre to get them settled in and get their recovery underway.

Sherbet and her kittens initially did well at the Centre, but our Centre Manager Susanne told us things weren’t going as smoothly as she’d hoped.

“Breakfast and dinner were Sherbet’s favourite time of day. But we noticed that she would often throw up after eating. Initially we thought maybe her stomach just wasn’t used to so much food, so we started to feed her smaller meals,” Susanne said.

While this seemed to help for a few days, the vomiting started up again, and Sherbet was prescribed some antibiotics.

With this failing to help, Susanne and our team noticed the kittens were also failing to thrive – they were only about half the size they should have been.

“We took them all back to the vet, and they suggested separating the kittens from Sherbet, so that she could be placed on a special gastro diet and focus on getting better,” Susanne said.

Their original rescuer, Rochell, put her hand up to foster the kittens while Sherbet continued her recovery.

“I took the kittens home to foster them for three weeks, and they started to gain weight quickly and turned into chunky little monkeys,” Rochell said. “After that, they moved into the care of another fosterer, where they’re growing bigger and stronger and waiting until they’re big enough for their desexing surgeries.”

Sherbet's kittens grew big and strong in foster care.
Sherbet's kittens grew big and strong in foster care.

Meanwhile, Sherbet just didn’t seem to be improving. Our team kept a close eye on her, and were trying to figure out what could possibly be making her so sick.

Susanne told us a turning point came when a volunteer was doing some cleaning, and spotted something.

“The volunteer initially thought Sherbet had worms hanging from her behind. But as we investigated, we found that they weren’t worms at all – it was string-like. Not long after that, poor Sherbet then passed a fish hook.”

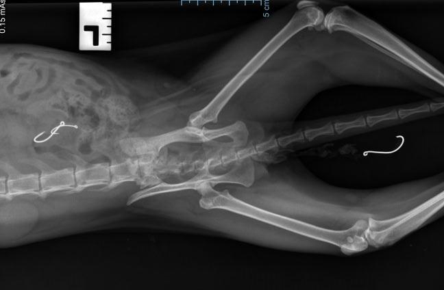
Horrified at realising that poor Sherbet had at some point ingested fishing lines, she was rushed back to the vet. After an X-ray, our team were shocked to see that there were two more fish hooks inside her bowels, with the third still hanging outside of her body with the lines.

Two more fishing hooks were found inside Sherbet's bowels.
Two more fishing hooks were found inside Sherbet's bowels.

The vet scheduled an urgent surgery to remove the hooks and lines.

Unfortunately, inappropriately discarded fishing gear and the impact on innocent animals is something we see all too often at SPCA, and is an issue we urge the public to be mindful of. We encourage anyone fishing to ensure that all items are packed away when not in use, and to never leave anything behind, to avoid cases like Sherbet’s.

Susanne said that while it was awful to see the cause of Sherbet’s illness, it was a relief to know what was causing it – and to see her begin to recover so quickly.

Sherbet came out of her shell, and recovered quickly after surgery.
Sherbet came out of her shell, and recovered quickly after surgery.

“She recovered so well after the surgery, and within days we could already see the difference,” Susanne said. “Sherbet began to gain weight, and her coat was looking much healthier.”

After a little more time, Sherbet had her desexing surgery, and is now officially up for adoption!

Rochell told us how wonderful it was to see this friendly girl become more secure and confident in our care.

“Sherbet is the best example of resilience and trust I’ve seen. From day one you could tell she wasn’t entirely comfortable with human interaction, but I think she knew we were there to help,” Rochell said.

“As the weeks went on, her confidence grew and her gentle and sweet personality began to shine through.”

For anyone interested in giving this girl a forever home, it sounds as though she’d be a wonderful and very cuddly new addition.

“She loves chin rubs and purrs to her hearts content. She absolutely loves to snuggle up in a nice warm bed, and when she hears you come in to see her, she pokes her sweet little face out and is ready for all the loving she can muster!” Rochell said.

We’d like to give a special thank you to our Renwick team and the wonderful vets who played a big part in Sherbet’s recovery.

You can view her adoption profile, and many others here. Her wee kittens will also be ready for adoption soon!

Hello! Choose your nearest SPCA Centre and see content specific to your location:
Hit enter to submit